Account
Preferiti
Annunci > Categorie
Annunci > Località
Blog
Contattaci
Account
Preferiti
MENU
×
Home
Annunci
Home
Venezia
Terreni agricoli in Vendita a Portogruaro
Terreni agricoli in Vendita a Portogruaro
2 foto
2
m²
:
5317
Descrizione
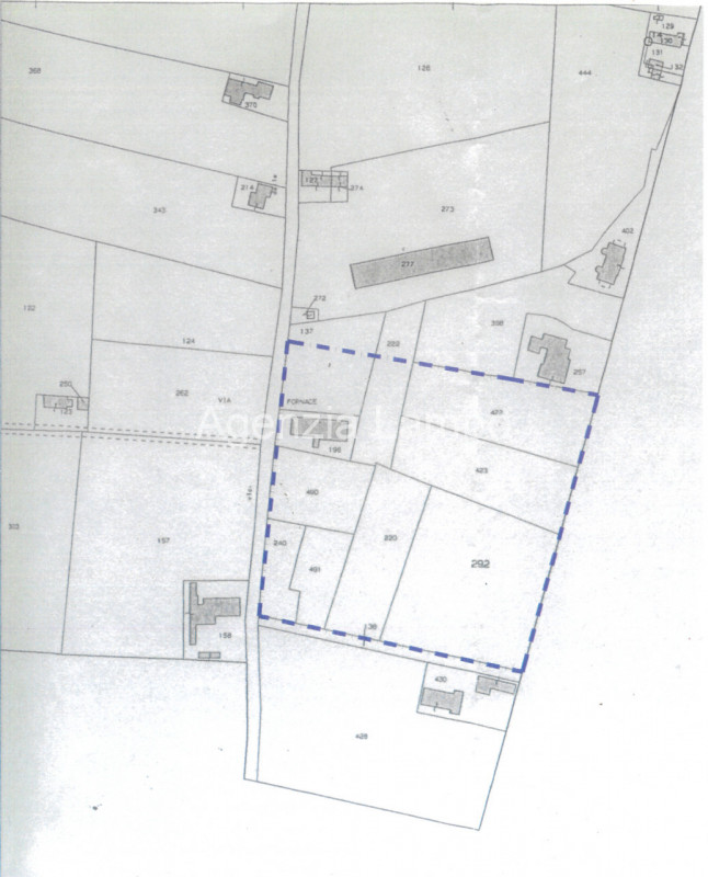
In vendita terreno edificabile lottizzato di 5.317 mq situato in zona centrale nella frazione di Pradipozzo. Ideale per chi vuole costruirsi casa o per investimento in nuove costruzioni, possibilità di ricavare villette, residence o una casa/villa indipendente. Zona circondata dalle principali attività e ricca di servizi. Il lotto è frazionabile ed ha un volume edificabile complessivo di 8.193 mc. Non esitare a contattarci per maggiori informazioni!
2
ID ANNUNCIO:
220364
CATEGORIA:
Terreni agricoli
TI POTREBBE INTERESSARE ANCHE
2
Area agricola o non edificabile a Montecosaro Contrada Fontanelle, 1
€ 55.000
Vedi Annuncio